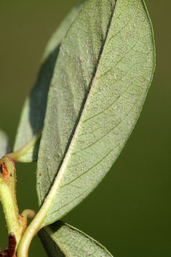
skalník Dammerův / Cotoneaster dammeri C. K. Schneid.